来源:乐居财经
2025-12-04 14:57:34
(原标题:保利站岗丨封面文章)
文/上海进深 严明会
临近年末,保利发展在杨浦滨江的棋局,又落下一枚重量级棋子。
近日,平凉路64街坊项目案名正式敲定为“保利·外滩曜”,成为继外滩序、外滩启之后,保利2025年外滩系的第五个作品。
官方释义里,“曜”字被赋予了一层诗意:
曜,为日光
是江潮映刻的璀璨
亦是时光淬炼的锋芒
华丽的修辞之外,项目还有一个醒目标签:杨浦滨江地王。
今年6月中旬,6大国央企经过95轮激烈竞价,最终由保利发展以35亿元的总价、95530元/㎡的楼板价拿下项目所在地块,溢价率30.79%,一举刷新杨浦滨江的地价天花板。
时移世易,仅仅数月过去,市场已悄然变化。
回过头看,9.5万/㎡的楼板价,已然站在了杨浦滨江高点。
不过,外滩曜地块位于内环内,位置上也更有优势。
过去一年,杨浦滨江土地市场持续火热,土拍价格节节攀升。
近期热度明显回落,刚过去的九批次土拍,中海地产以底价拿下K8-03地块,楼面价68800元/㎡。
再向前追溯,中铁置业和江苏润皋拿下“九宫格”中的I4-01地块,楼面价92225元/㎡,溢价率28.09%。彼时的火热,不过是高点之后的余温。
而在今年上半年之前,杨浦滨江地块的楼面价大多徘徊在8万元/㎡上下。
进深君统计了2024年下半年以来杨浦滨江的土拍情况:

高昂的土地成本,如同一枚硬币的两面:
一面是项目握有地段价值的天然光环,另一面则是在定价策略与市场去化之间,不得不反复权衡的天平。

楼间距受限
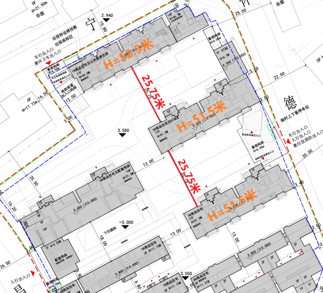
9月初,项目总平图公示。外滩曜的项目公司为上海友登实业有限公司,法定代表人和公司董事长均为保利发展上海公司总经理吴劲松。
项目拟建1栋10层小高层、3栋17层高层及3幢风貌别墅产品,社区内部设置了下沉式庭院、景观构架等设施。
从布局来看,社区整体南低北高,南侧排布了别墅以及社区配套用房,北侧分布4栋10-17F的高层。
1#、2#、3#楼均为17层高层住宅,首层局部架空,可用作泛会所,1号楼东侧是1幢14层的公租房;4#楼为10层的洋房产品,以及部分配套;5#、6#、7#、8#楼均为风貌别墅产品;9#楼为社区公共服务配套用房。

这种高低配模式,固然最大化挖掘了土地价值,却也牺牲了社区空间的从容与开阔。
地块本身规模有限,同时还要塞进风貌别墅、公租房以及各类配套,不少楼栋间距被迫卡着规范下限设计,难以形成规整且具规模的中央绿化。
例如,社区东侧的3栋(1#、2#、3#)17F高层,高度在51.5-52.5米,而楼间距仅有25.75米,比例接近1:2。
这意味着,1#楼东单元和2#楼的低区房源,采光与视野会受影响。

面积高赠送
项目将推出建面约114-139㎡的小高层、165㎡洋房以及195-205㎡的风貌别墅。
其中,小高层197套、洋房37套、别墅21套,总量不大,小高层占比超七成。

预计月底首开2#、4#楼,共68套房源,主推114-160㎡的3-4房。
前几天,项目户型图公示,高得房率成为项目的核心卖点。
所有户型都是飞机户型,都配置了双阳台+一梯一户+全屋飘窗,室内还配置了家政间。

114㎡三房,独立电梯厅、全屋飘窗、双阳台加起来,赠送面积大约18㎡,飘窗有可能采用非承重结构,交付后可改造为储物空间或拓展室内面积。两间南向卧室面积超10㎡,北次卧也超过9㎡,整体空间感可以媲美140㎡户型。
130㎡户型赠送面积测算下来近20㎡,还有南北两个270度转角飘窗;139㎡户型则是130户型的放大版,空间尺度感更足。
细微之处亦见取舍。
所有户型的电梯门正对入户门,虽保证了私密电梯厅,但在动线美观与风水观念上,可能成为部分高端客群的斟酌点。
价格难定
外滩曜身上叠加了很多光环:内环内、紧邻地铁、外滩滨江、低密、新规高赠,每一项都足以支撑其高端定位。
尤其在同板块多以风貌别墅为主的产品结构中,其小高层产品具备一定的稀缺性。
今年9月,同属保利“外滩系”的PARK77入市,其所在地块距外滩曜仅约一公里。相比之下,外滩曜在地段和社区规模上都有升级,价格预期自然水涨船高。
板块内的竞争态势也不容忽视。同样位于杨浦滨江内环内的中信泰富外滩道在上个月入市,推出121套119-192㎡房源,均价13.85万/㎡,认筹率大约85%,开盘直接给出了98折优惠。
回望去年此时,同系作品“外滩序BUND45”以12.9万元/㎡的均价,创下认购率超700%、开盘日光的神话。
但那是一场建立在市场热度尚存、一二手房价格倒挂基础上的胜利。
今日市场已非往昔。
客户决策极度理性,对价格敏感度空前提高。面对约9.55万元/㎡的楼板价,项目如何在价值塑造与市场接受度之间取得平衡,成为一道关键考题。
从某种意义上说,保利外滩曜是一场在高地价与多重规划条件约束下的极限产品创作。
它试图通过极致的设计与空间利用率,以产品端的附加价值来弥补部分客观局限。
而在逐渐回归理性的市场环境中,每一道“光环”都需要接受更为冷静的价值重估。
证券之星地产
2025-12-19
证券之星地产
2025-12-17
证券之星地产
2025-12-16
乐居财经
2025-12-12
乐居财经
2025-12-12
证券之星地产
2025-12-12
证券之星资讯
2025-12-20
证券之星资讯
2025-12-19
证券之星资讯
2025-12-19